グリーンヒル高宮第Ⅱ期
「グリーンヒル高宮第Ⅱ期」のここがイチオシ。価格1182.8186万円でニーズの高い土地です。平坦地なので、工事自体も進めやすく、工事時間も短くなりやすいですよ。土地面積は152.74㎡(実測)あります。利便性の高さが魅力の東海道本線南彦根周辺で土地を紹介しております。0749-28-7777から株式会社 橋本不動産にまでお問い合わせください。
-
情報の見方
担当者のコメント 株式会社橋本不動産

- 前面道路6m以上は確保しているので車の出し入れもラクラクです。平坦地なので、傾斜地よりも工事費をダウンさせやすいですよ。環境の良いエリアにある売地です。立地する準工業地域は、昔ながらの職人町や町工場街など、住宅や商業施設と中小の工場が混在する地域です。株式会社 橋本不動産が紹介する土地を見学しませんか。彦根市エリアには広い土地が豊富です。0749-28-7777までお問い合わせをお待ちしております。
ポイント・特徴
物件概要
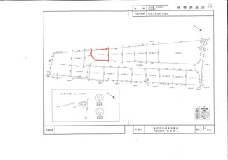
【売地】 物件番号:81559315 情報更新日:2026年01月07日 次回更新予定日:2026年01月21日所在地 滋賀県彦根市高宮町1694-5 交通 価格 1,182.8186万円 土地の敷金/保証金 -/- 借地料/借地期間 -/- 土地面積(坪数) 152.74㎡(46.20坪) 坪単価 25.6万円 私道負担面積/セットバック -/無 高圧線下面積 - 傾斜地部分面積 - 路地状敷地 - 土地権利 所有権 接道状況 角地(南東 公道 6.0m 間口 12.1m)(西 公道 6.0m 間口 4.9m)(北西 公道 6.0m 間口 5.5m) 都市計画 市街化区域 用途地域 準工業 建築条件 無 地目/地勢 宅地/平坦 建ぺい率 70% 容積率 200% 総区画数 14区画 販売区画数 14区画 国土法届出要否 不要 その他の法令上の制限 隅切り有 取引態様 売主 現況 更地 引渡時期 相談 引渡条件 現況渡 最適用途 住宅用地 物件番号 81559315 取引条件の有効期限 2026年01月21日 設備条件 - 閑静な住宅地
- 都市ガス
- 公営水道
- 公共下水
- 電気有
備考 こだわりで選びたい方におすすめ。彦根市エリアで住まいをお探しなら「グリーンヒル高宮第Ⅱ期」。日々の暮らしに便利なフタバヤ 彦根店(スーパー)まで244mです。彦根警察署 高宮交番が家から170mのところにあります。土地を買うなら彦根市の東海道本線南彦根近くがベストです。当社株式会社 橋本不動産の0749-28-7777までお気軽にお問い合わせくださいませ。 条件(その他) 固定資産税等日割 登記費用 取扱会社 - 株式会社 橋本不動産
- 滋賀県彦根市野口町283-2
- TEL:0749-28-7777
- 滋賀県知事 (5) 第2834号
- (公社)滋賀県宅地建物取引業協会
※地図上に表示される物件の位置は付近住所に所在することを表すものであり、実際の物件所在地とは異なる場合がございます。
物件お問い合わせ
- 掲載物件数
-
件
- 本日の更新件数
-
件
グリーンヒル高宮第Ⅱ期の他の区画の売地
同じエリアの売地
価格と住所の近い物件
- スマートステージ八坂
- 1,170万円 -/161.66㎡
- 滋賀県彦根市八坂町
- 東海道本線「南彦根」駅 徒歩43分
- サンライズ旭森
- 1,158.0063万円 -/167.90㎡
- 滋賀県彦根市大堀町
- 東海道本線「南彦根」駅 徒歩23分
- ホームタウン大堀 第Ⅱ期
- 1,153.251万円 -/176.50㎡
- 滋賀県彦根市大堀町
- 東海道本線「南彦根」駅 徒歩27分
- ホームタウン大堀 第Ⅲ期
- 1,222.7691万円 -/177.29㎡
- 滋賀県彦根市大堀町
- 東海道本線「南彦根」駅 徒歩31分
- 東沼波プライムシティー
- 1,059.7982万円 -/161.45㎡
- 滋賀県彦根市東沼波町
- 東海道本線「南彦根」駅 徒歩16分












