グリーンヒル高宮第Ⅱ期
多くの方からご好評頂いているグリーンヒル高宮第Ⅱ期のご紹介です。平坦な土地なので、擁壁・造成費用を抑えられます。マイホームをお考えの方に、こちらの住宅用地はいかがでしょうか。価格1159.4129万円の土地です。株式会社 橋本不動産に土地探しを依頼しませんか。彦根市エリアの土地が豊富。ぜひ一度0749-28-7777までお問い合わせくださいませ。
-
情報の見方
担当者のコメント 株式会社橋本不動産

- こだわりで選びたい方におすすめ。彦根市エリアで住まいをお探しなら「グリーンヒル高宮第Ⅱ期」。快適な周辺環境で満足の住宅用地はこちらです。土地面積は152.7㎡(実測)でございます。自分の好みの建物を建てるという点では、建築条件のない土地がおすすめです。知識豊富なスタッフが揃った株式会社 橋本不動産が、お客様の不動産探しをしっかりサポートいたします。ぜひお気軽に0749-28-7777までお問い合わせください。
ポイント・特徴
物件概要
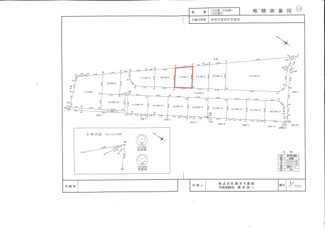
【売地】 物件番号:81559334 情報更新日:2026年01月07日 次回更新予定日:2026年01月21日所在地 滋賀県彦根市高宮町1694-7 交通 価格 1,159.4129万円 土地の敷金/保証金 -/- 借地料/借地期間 -/- 土地面積(坪数) 152.70㎡(46.19坪) 坪単価 25.1万円 私道負担面積/セットバック -/無 高圧線下面積 - 傾斜地部分面積 - 路地状敷地 - 土地権利 所有権 接道状況 一方(南西 公道 6.0m 間口 11.3m) 都市計画 市街化区域 用途地域 第一種住居/準工業 建築条件 無 地目/地勢 宅地/平坦 建ぺい率 60% 容積率 200% 総区画数 14区画 販売区画数 14区画 国土法届出要否 不要 その他の法令上の制限 - 取引態様 売主 現況 更地 引渡時期 相談 引渡条件 現況渡 最適用途 住宅用地 物件番号 81559334 取引条件の有効期限 2026年01月21日 設備条件 - 閑静な住宅地
- 都市ガス
- 公営水道
- 公共下水
- 電気有
備考 自分の好みの建物を建てるという点では、建築条件のない土地がおすすめです。住宅用地なので、新しい住まいの場所としておすすめです。こちらの土地は前面道路6m以上です。傾斜地より建築が楽な平坦地です。株式会社 橋本不動産があなたの不動産探しを全力でサポートいたします。まずはお気軽に0749-28-7777へご連絡ください。 条件(その他) 固定資産税等日割 登記費用 取扱会社 - 株式会社 橋本不動産
- 滋賀県彦根市野口町283-2
- TEL:0749-28-7777
- 滋賀県知事 (5) 第2834号
- (公社)滋賀県宅地建物取引業協会
※地図上に表示される物件の位置は付近住所に所在することを表すものであり、実際の物件所在地とは異なる場合がございます。
物件お問い合わせ
- 掲載物件数
-
件
- 本日の更新件数
-
件
グリーンヒル高宮第Ⅱ期の他の区画の売地
同じエリアの売地
価格と住所の近い物件
- サンライズ旭森
- 1,158.0063万円 -/167.90㎡
- 滋賀県彦根市大堀町
- 東海道本線「南彦根」駅 徒歩23分
- ホームタウン大堀 第Ⅱ期
- 1,153.251万円 -/176.50㎡
- 滋賀県彦根市大堀町
- 東海道本線「南彦根」駅 徒歩27分
- スマートステージ八坂
- 1,170万円 -/161.66㎡
- 滋賀県彦根市八坂町
- 東海道本線「南彦根」駅 徒歩43分
- ホームタウン大堀 第Ⅲ期
- 1,222.7691万円 -/177.29㎡
- 滋賀県彦根市大堀町
- 東海道本線「南彦根」駅 徒歩31分
- 東沼波プライムシティー
- 1,059.7982万円 -/161.45㎡
- 滋賀県彦根市東沼波町
- 東海道本線「南彦根」駅 徒歩16分












