ホームタウン大堀 第Ⅲ期
「ホームタウン大堀 第Ⅲ期」のここがイチオシ♪周辺環境が充実している在宅用地です♪少しでも金銭的な負担を減らすために、土地の購入価格は安く抑えましょう♪こちらは1009.5596万円になります♪こちらの土地は前面道路6m以上です♪不動産購入のことなら、地元の信頼厚い株式会社 橋本不動産にお任せください♪お電話でのお問い合わせ先は0749-28-7777までお待ちしております(^^)
-
情報の見方
担当者のコメント 株式会社橋本不動産

- 新生活を失敗せず、スタートさせたいならこちらの「ホームタウン大堀 第Ⅲ期」はいかがでしょうか。建築条件なしなので、建物の間取りも自分で考えることが可能で、建築についてじっくり考えられます。コチラの土地は売地となっており、土地購入予定の方にお勧めです。価格1009.5596万円の土地です。彦根市周辺で土地をお探しなら、株式会社 橋本不動産にお任せください。0749-28-7777までお電話をお待ちしております。当社をぜひご利用くださいませ。
ポイント・特徴
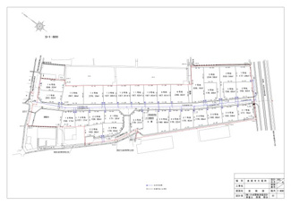
物件概要
【売地】 物件番号:76911121 情報更新日:2026年05月07日 次回更新予定日:2026年05月20日所在地 滋賀県彦根市大堀町463-17 交通 価格 1,009.5596万円 土地の敷金/保証金 -/- 借地料/借地期間 -/- 土地面積(坪数) 158.17㎡(47.84坪) 坪単価 21.1万円 私道負担面積/セットバック -/無 高圧線下面積 - 傾斜地部分面積 - 路地状敷地 - 土地権利 所有権 接道状況 一方(北東 公道 6.0m 間口 10.4m) 都市計画 市街化区域 用途地域 第一種住居 建築条件 無 地目/地勢 宅地/平坦 建ぺい率 60% 容積率 200% 総区画数 31区画 販売区画数 31区画 国土法届出要否 不要 その他の法令上の制限 - 取引態様 売主 現況 - 引渡時期 相談 引渡条件 現況渡 最適用途 住宅用地 物件番号 76911121 取引条件の有効期限 2026年05月20日 設備条件 - 都市ガス
- 公営水道
- 公共下水
- 電気有
備考 ぜひ一度見ていただきたい、「ホームタウン大堀 第Ⅲ期」です!売地をお探しの方に、こちらの土地はイチオシです!価格1009.5596万円と抑えめの価格にも関わらず、条件も整った土地です!こちらの土地面積は158.17㎡(実測)です!彦根市エリアで土地をお望みなら、東海道本線南彦根周辺がオススメです!0749-28-7777までいつでもお問い合わせをお待ちしております(^_^) 条件(その他) 固定資産税等日割 登記費用 取扱会社 - 株式会社 橋本不動産
- 滋賀県彦根市野口町283-2
- TEL:0749-28-7777
- 滋賀県知事 (5) 第2834号
- (公社)滋賀県宅地建物取引業協会
※地図上に表示される物件の位置は付近住所に所在することを表すものであり、実際の物件所在地とは異なる場合がございます。
物件お問い合わせ
- 掲載物件数
-
件
- 本日の更新件数
-
件
ホームタウン大堀 第Ⅲ期の他の区画の売地
区画 価格 1号地 1,222.7691万円 3号地 1,363.4649万円 4号地 1,076.2769万円 5号地 1,383.6108万円 9号地 1,295.3256万円 11号地 1,295.4635万円 12号地 1,306.6881万円 24号地 1,166.1874万円 28号地 1,148.0014万円 29号地 1,138.097万円 もっと見る
閉じる
同じエリアの売地
価格と住所の近い物件
- 東沼波プライムシティー
- 1,059.7982万円 -/161.45㎡
- 滋賀県彦根市東沼波町
- 東海道本線「南彦根」駅 徒歩16分
- ホームタウン大堀 第Ⅱ期
- 1,153.251万円 -/176.50㎡
- 滋賀県彦根市大堀町
- 東海道本線「南彦根」駅 徒歩27分
- サンライズ旭森
- 1,158.0063万円 -/167.90㎡
- 滋賀県彦根市大堀町
- 東海道本線「南彦根」駅 徒歩23分
- スマートステージ八坂
- 1,170万円 -/161.66㎡
- 滋賀県彦根市八坂町
- 東海道本線「南彦根」駅 徒歩43分
- グリーンヒル高宮第Ⅱ期
- 1,224.3309万円 -/161.25㎡
- 滋賀県彦根市高宮町
- 東海道本線「南彦根」駅 徒歩16分












