東沼波プライムシティー
彦根市エリアでの住まいなら、住み心地も快適な「東沼波プライムシティー」はいかがでしょうか。建築条件無しの土地は、自分の理想の家を形にするためには、イチオシの条件です。彦根市エリアで土地のご購入を検討されているなら、東海道本線南彦根周辺の土地はいかがですか。hashimoto-es@hashimoto-g.co.jp又は0749-28-7777までお問い合わせください。
担当者のコメント 株式会社橋本不動産

- こちらの土地の面積は219.3㎡(実測)。建築条件なしなので、好きなデザインで好きな住まいを建てやすくなります。1459.4415万円という価格を実現していますので、非常におすすめです。好条件の周辺環境が整っており、生活しやすい住宅用地はこちらとなっています。彦根市で土地を探すなら、株式会社 橋本不動産がオススメする土地をご覧になりませんか。0749-28-7777では土地見学のご予約を承っております。
ポイント・特徴
物件概要
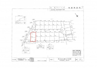
【売地】 物件番号:61236304 情報更新日:2026年02月12日 次回更新予定日:2026年02月25日| 所在地 | 滋賀県彦根市東沼波町1047-26 | ||
|---|---|---|---|
| 交通 | |||
| 価格 | 1,459.4415万円 | ||
| 土地の敷金/保証金 | -/- | 借地料/借地期間 | -/- |
| 土地面積(坪数) | 219.30㎡(66.33坪) | 坪単価 | 22万円 |
| 私道負担面積/セットバック | -/無 | 高圧線下面積 | - |
| 傾斜地部分面積 | - | 路地状敷地 | - |
| 土地権利 | 所有権 | 接道状況 | 一方(北東 公道 6.0m 間口 11.3m) |
| 都市計画 | 市街化区域 | 用途地域 | 第一種住居 |
| 建築条件 | 無 | 地目/地勢 | 宅地/平坦 |
| 建ぺい率 | 60% | 容積率 | 200% |
| 総区画数 | 104区画 | 販売区画数 | 104区画 |
| 国土法届出要否 | 不要 | その他の法令上の制限 | - |
| 取引態様 | 売主 | 現況 | 更地 |
| 引渡時期 | 即時 | 引渡条件 | 現況渡 |
| 最適用途 | 住宅用地 | ||
| 物件番号 | 61236304 | 取引条件の有効期限 | 2026年02月25日 |
| 設備条件 |
|
||
| 備考 | 「東沼波プライムシティー」のここがイチオシ。自分で好きな業者を選ぶことができる建築条件なし。コチラは売地の情報となっています。土地購入をお考えの方は是非。こちらは住宅用地です。彦根市エリアでの住まい探しは、地域密着の株式会社 橋本不動産がお手伝いいたします。0749-28-7777までお気軽にお問い合わせください。 | ||
| 条件(その他) | 固定資産税日割精算 登記費用 | ||
| 取扱会社 |
|
||
※地図上に表示される物件の位置は付近住所に所在することを表すものであり、実際の物件所在地とは異なる場合がございます。












